
Karib Dənizində Əsrin Qasırğası "Melissa": Haitidə 20-dən Çox İnsan Həlak Oldu

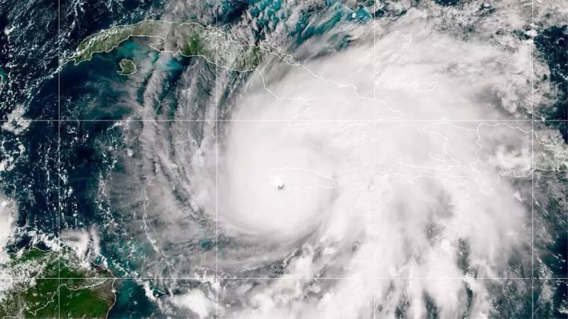
Karib dənizi bölgəsində son yüzilliyin ən güclü qasırğalarından biri kimi təsvir edilən "Melissa", oktyabrın 28-də Yamayikanı vurduqdan sonra Kuba və Haitini də təsir altına aldı. Xəbər agentliyi AFP-yə danışan Haiti rəsmiləri, fəlakət nəticəsində ən azı 20 nəfərin həyatını itirdiyini və 10 nəfərin itkin düşdüyünü bildirdi. Associated Press agentliyinin məlumatına görə isə Haitidə ölənlərin sayı 23 nəfərdir. Qasırğanın dağıdıcı təsirinə baxmayaraq, Yamayika Baş Naziri Andrew Holness oktyabrın 29-da adada qasırğa ilə bağlı hər hansı ölüm halının qeydə alınmadığını açıqladı. Lakin adanın böyük bir hissəsində elektrik və internet kəsilib, bir sıra yollar su basqınları səbəbindən bağlanıb. Bu, ölkənin hər yerindən tam məlumat alınmasını çətinləşdirir. Saatda təxminən 300 kilometr sürətlə Yamayika sahillərini vuran qasırğa, Kuba sahillərinə 200 km/saat küləklə çatdı və Baham adalarını da təsir etdi. Oktyabrın 30-da isə Bermudaya çatması gözlənilir.
Dünya Meteorologiya Təşkilatının tropik siklonlar üzrə mütəxəssisi Anne-Claire Fontan vəziyyəti "fəlakət boyutunda" adlandıraraq, bunu Yamayika üçün mütləq şəkildə əsrin qasırğası olduğunu vurğuladı. "Melissa" Yamayikanın qeydə alınmış tarixində rastlaşdığı ən güclü qasırğadır. ABŞ Prezidenti Donald Tramp lazım gələrsə, Yamayikaya yardım göndərməyə hazır olduqlarını bildirdi. Adadan gələn fotolarda ağacların kökündən söküldüyü, evlərin ciddi zərər gördüyü və hətta xəstəxana damlarının uçduğu görünür. Su basqınları səbəbindən timsahların öz təbii yaşayış yerlərindən yaşayış məntəqələrinə keçməsi barədə də xəbərdarlıqlar edilib. Kubalı rəsmilər təxminən 500 min insanın təhlükəsiz yerlərə köçürüldüyünü açıqlayıblar. Mütəxəssislər, qasırğanın yavaş hərəkət etməsinin bəzi bölgələrdə uzunmüddətli, şiddətli yağışlara səbəb ola biləcəyini, bunun da ölümcül sel və torpaq sürüşməsi riskini xeyli artırdığını bildirirlər.
Qasırğanın niyə bu qədər təhlükəli və dağıdıcı olması bir neçə amillə əlaqələndirilir. "Melissa" həm son dərəcə güclü, həm böyük bir ərazini əhatə edən, həm də çox yavaş hərəkət edən bir sistemdir. Qasırğalar enerjini isti dəniz səthindən alır. Qərbi Karibdəki suyun temperaturu hazırda təxminən 30°C-dir, bu da mövsüm ortalamasından 2-3 dərəcə yuxarıdır və tufan sisteminə əlavə enerji verir. Digər tərəfdən, qasırğanın ətrafındakı atmosfer küləkləri yüksəkliklə çox dəyişmir. Bu isə onun zəifləmək əvəzinə, gücünü artırmasına şərait yaradır. Üçüncü və bəlkə də ən vacib amil, qasırğanı idarə edən zəif istiqamətləndirici küləklərdir. Bu, tufanın yalnız saatda 6.4 km sürətlə irəliləməsi deməkdir. Beləliklə, o, eyni bölgə üzərində uzun müddət qalaraq həddindən artıq yağış və dağıdıcı külək təsirini uzun müddət davam etdirir. Əvvəllər yalnız iki qasırğa "Melissa"dan daha güclü qeydə alınmışdı: 2015-ci ildə Meksikanı vuran Patrisia və 1979-cu ildəki Tip Tayfunu. Müqayisə üçün, 2005-ci ildə ABŞ-ın Nyu-Orlean ştatını vuran və gücü "Melissa" ilə demək olar eyni olan Katrina Qasırğası 1392 nəfərin ölümünə və 125 milyard dollarlıq zərərə səbəb olmuşdu.
Yamayika rəhbərliyi vəziyyətlə bağlı ciddi hazırlıqlar gördü. Baş Nazir Holness qasırğa quruluğa çatmazdan qısa müddət əvvəl alçaq bölgələrdə məcburi təxliyə əmri verdi. Ölkə daxilində sığınacaqlar aktivləşdirildi, bütün dövlət məktəbləri distant təhsilə keçdi, turistlər isə otellərin konfrans otaqlarına qurulmuş müvəqqəti çarpayılara yerləşdirildi. Yamayika İnformasiya Naziri Dana Morris Dixon BBC-yə verdiyi açıqlamada, hökumətin "əvvəllər heç görülməmiş bir tufana" hazırlaşmaq üçün əlindən gələni etdiyini bildirdi. Nazir Dixon əlavə etdi ki, oktyabr ayının yağışlı keçdiyini nəzərə alsaq, "torpaq artıq çox doymuşdur. Bu qədər çox yağış qəbul etsək, çox geniş miqyaslı daşqınlar və dağlıq ərazilərdə sürüşmələr baş verəcək." Kingstondan xəbər verən BBC jurnalisti Nick Davis isə bu qasırğanın sadəcə xəbər olmadığını, onun həyatının, ailəsinin və dostlarının da bu xəbərin mərkəzində olduğunu qeyd etdi, çünki "Melissa" burada hamının həyatını təhdid edir.
İnsan hüquqları və vətəndaş cəmiyyəti mövzularında ixtisaslaşmışam. Bu sahədə qeyri-hökumət təşkilatlarında da işləmişəm.
Bütün məqalələrə baxınOxşar xəbərlər

Yamaykada "Melissa" qasırğası 3 nəfərin ölümünə sə...
Azəri Xəbər

Karib hövzəsini vuran "Melissa" qasırğası: Onlarla...
Son Xeberler
"Melissa" qasırğasının yaratdığı daşqınlar nəticəs...
Azəri Xəbər

“Melissa” qasırğası 40-dan çox insanın həyatına so...
Azəri Xəbər

Yamaykada "Melissa" qasırğası nəticəsində ölənləri...
Azəri Xəbər
"Melissa" Qasırğası Karib Hövzəsini Dağıtdı: Ölüm...
Son Xeberler


